株式会社クリフ > 物件一覧 > 糸島市二丈吉井売地 > 物件詳細
西九州道「吉井IC」降りてすぐ!まむしの湯まで徒歩・トンボ山登山口そば!
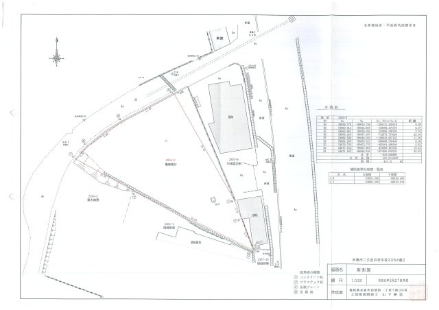
敷地面積430.45㎡(130.21坪)の平坦地でキャンプ・コンテナ・秘密基地に!
確定測量図あり
※接道部分と敷地とに高低差あり 現状渡し











(※元利均等方式 金利5.00%まで ※返済年数5~50年まで入力できます)
(※ボーナスは年2回で計算しています。1000万円まで入力できます)
(※物件購入時、その他諸費用が発生する場合がございます)
| 所在地 | 福岡県糸島市二丈吉井2354-2 | ||
|---|---|---|---|
| 交通 | |||
| 価格 | 598万円 | ||
| 土地の敷金/保証金 | -/- | 借地料/借地期間 | -/- |
| 土地面積(坪数) | 430.45㎡(130.21坪) | 坪単価 | 4.59万円 |
| 私道負担面積/セットバック | -/- | 高圧線下面積 | - |
| 傾斜地部分面積 | - | 路地状敷地 | - |
| 土地権利 | 所有権 | 接道状況 | - |
| 都市計画 | 非線引区域 | 用途地域 | 無指定 |
| 建築条件 | - | 地目/地勢 | 宅地/- |
| 建ぺい率 | 60% | 容積率 | 200% |
| 総区画数 | 1区画 | 販売区画数 | 1区画 |
| 国土法届出要否 | 不要 | その他の法令上の制限 | - |
| 取引態様 | 一般媒介 | 現況 | 更地 |
| 引渡時期 | 即時 | 引渡条件 | 現況渡 |
| 最適用途 | リゾート向 | ||
| 物件番号 | 98346174 | 取引条件の有効期限 | 2026年05月16日 |
| 設備条件 |
|
||
| 備考 |
西九州道「吉井IC」降りてすぐ!まむしの湯まで徒歩・トンボ山登山口そば! 敷地面積430.45㎡(130.21坪)の平坦地でキャンプ・コンテナ・秘密基地に! 確定測量図あり ※接道部分と敷地とに高低差あり 現状渡し |
||
| 取扱会社 |
|
||
| QRコード |
このQRコードを読み取ることで、スマホでも物件情報を確認できます。 |
||
※地図上に表示される物件の位置は付近住所に所在することを表すものであり、実際の物件所在地とは異なる場合がございます。
糸島市の町名から探す
糸島市にある駅から探す
糸島市二丈吉井売地周辺の駅から探す